Skip To Content

Address Not Published

Los Angeles, CA 90045
  • $850,000
  • STATUS: Active Under Contract
  • ON SITE: 797 Days
  • MLS #: 23-330577
Under Contract
UPDATED: 194 min ago
$850,000
  • 0
    BEDS
  • N/A
    ACRES
  • 0
    BATHS
  • 0
    1/2 BATHS
Neighborhood:
Type:
Vacant Land / Lots
County:
Area:

School Ratings & Info

Description

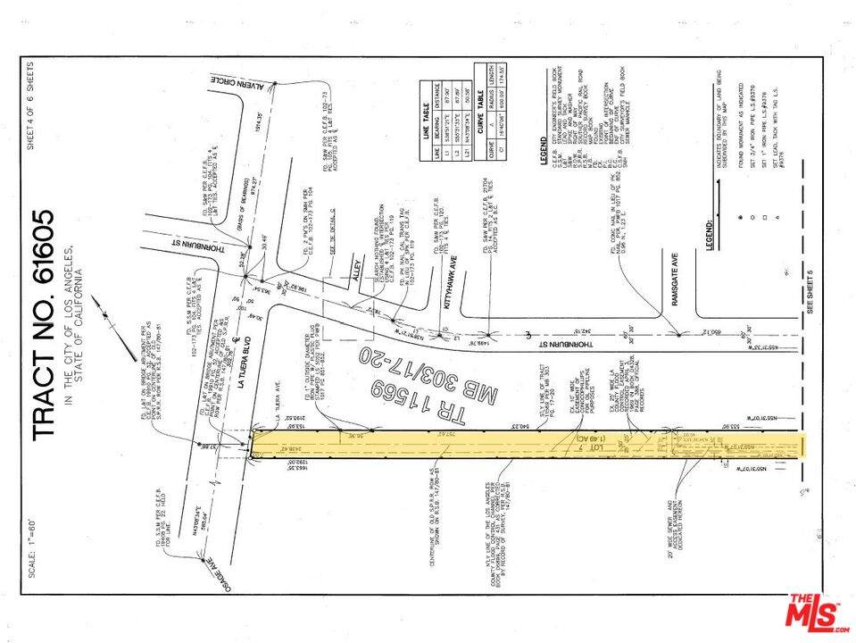
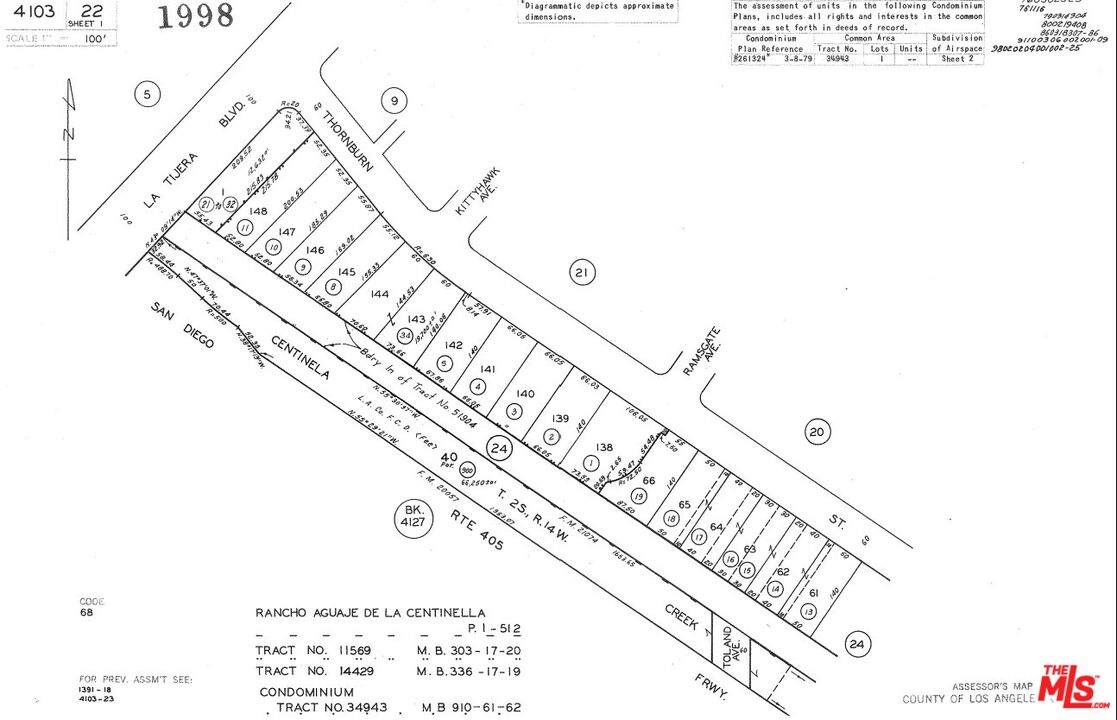
Lot 7, Tract 61605 (APN: 4103-024-032) is a rare and unique opportunity to own 1.49 acres of LAR1 vacant land in prime Westchester, located just minutes to SoFi Stadium, Intuit Dome, Hollywood Park Casino, Kenneth Hahn, Playa Vista, and much more. Very centrally located near the Metro/Expo lines, and the 405-freeway entrance/exits. The land can be bought together with 5400 Thornburn Street, which is a Triplex that is directly in front of Lot 7 and is for sale for $1,150,000 with 2 of 3 units delivered vacant at closing. 5400 Thornburn Street sits on a 12,931 SF lot and is zoned LAR3. The next owner can consider doing a lot line adjustment between Lot 7 and 5400 Thornburn Street to connect the two lots and create a large parcel assemblage for re-development. Seller financing may be available to a Buyer to help weather the current state of the debt markets. Scanned copies of the official track maps are available in the documents folder on the MLS. The property address listed on the MLS posting (0 Thornburn Street) is not the legal address of the land, as the land does not have a legal address -- but it has a legal APN (4103-024-032) and is titled Lot 7, Tract 61605 (6889254).

Monthly Payment Calculator



Based on information from the Combined LA/Westside Multiple Listing Service as of 2026-01-14T23:42:48.14. All data, including all measurements and calculations of area, is obtained from various sources and has not been, and will not be, verified by broker or MLS. All information should be independently reviewed and verified for accuracy. Properties may or may not be listed by the office/agent presenting the information.
www.deserthouseseekers.com/homes/145143342
Print Image

Address Not Published Los Angeles, CA 90045

  • Price: $850,000
  • Status: Active Under Contract
  • On Site: 797 Days
  • Updated: 194 min ago
  • MLS #: 23-330577
0
Beds
0
Baths
0
½ Baths
N/A
Acres
Neighborhood:
Westchester
County:
Los Angeles
Area:
Westchester
Property Description
Lot 7, Tract 61605 (APN: 4103-024-032) is a rare and unique opportunity to own 1.49 acres of LAR1 vacant land in prime Westchester, located just minutes to SoFi Stadium, Intuit Dome, Hollywood Park Casino, Kenneth Hahn, Playa Vista, and much more. Very centrally located near the Metro/Expo lines, and the 405-freeway entrance/exits. The land can be bought together with 5400 Thornburn Street, which is a Triplex that is directly in front of Lot 7 and is for sale for $1,150,000 with 2 of 3 units delivered vacant at closing. 5400 Thornburn Street sits on a 12,931 SF lot and is zoned LAR3. The next owner can consider doing a lot line adjustment between Lot 7 and 5400 Thornburn Street to connect the two lots and create a large parcel assemblage for re-development. Seller financing may be available to a Buyer to help weather the current state of the debt markets. Scanned copies of the official track maps are available in the documents folder on the MLS. The property address listed on the MLS posting (0 Thornburn Street) is not the legal address of the land, as the land does not have a legal address -- but it has a legal APN (4103-024-032) and is titled Lot 7, Tract 61605 (6889254).
Exterior Features

Horse YN No Lot Size Area 64406 View Description None View YN No

Property Features

Assessments Buyer to Verify Cable YN No Disclosures None Land Lease Type Fee Potential Usage Re-DevelopmentParks & RecSingle Family Houses Present Use Vacant Un-Developed Land Public Street YN False Sale Type Standard Source Lot Size Area Assessor Zoning LAR1

Listing provided courtesy of Jonathan Rawson DRE# of Avenue Realty Group: 310-433-4293.


Based on information from the Combined LA/Westside Multiple Listing Service as of 2026-01-14T23:42:48.14. All data, including all measurements and calculations of area, is obtained from various sources and has not been, and will not be, verified by broker or MLS. All information should be independently reviewed and verified for accuracy. Properties may or may not be listed by the office/agent presenting the information.
 
https://bt-photos.global.ssl.fastly.net/carets/orig_boomver_1_23-330577-2.jpg https://bt-photos.global.ssl.fastly.net/carets/orig_boomver_1_23-330577-2.jpg https://bt-photos.global.ssl.fastly.net/carets/orig_boomver_1_23-330577-2.jpg
Logo
Zwemmer Realty Group | Keller Williams Realty
75486 Augusta Drive
Indian Wells CA, 92210